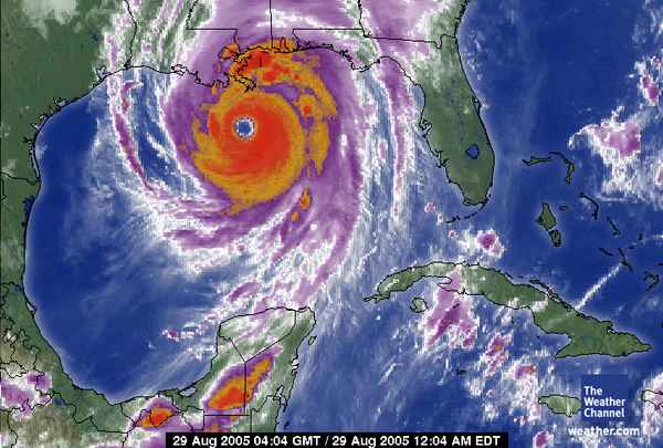
I’m not feeling particularly well today. For whatever reason, my stomach is giving me some trouble. Unable to sleep, I decided to post some great images of Hurrican Katrina from “weather.com”:http://www.weather.com last night (see below).
I’ve been thinking about a lot of things regarding this hurricane. I wanted to jot them here before I forgot. First, I was reflecting on how ironic it is that we’ve spent so much money creating a war in Iraq that was supposed to keep us safe from terrorism. And yet, the damage on property and life inflicted by a single hurricane, by Nature herself, puts any act of terrorism to shame. Katrina, for instance, held in her the promise that an entire city (New Orleans) could be flooded off the map. Thank goodness the storm center missed “the nightmare path”, as some have called it, but the damage is immense still. We worry so much about what other people will do to us, and yet here we stand as a species humbled by Nature, humble before Nature. We are so small and so fragile.
Second, I got to thinking about some of the connections between hurricanes, fueled by warm Atlantic water off the African and American coasts, and global warming. The government of the United States is constantly claiming that the cost of changing our energy economy over from fossil fuel is so great that it stands to ruin the economic base of the U.S. However, here we have a single Hurricane fueled by the warm waters of the Atlantic. It tears through wood and brick, through glass and steel, and it creates wreck where once prosperity reigned. While global warming is unlikely to influence the cost of a single storm, it hasthe potential to fuel more storms than average, each a very large and dangerous storm. The frequency, then increased, would cause an ebb of fury on the Southeastern United States that would crack the economic back of that region.
Such economic ruin, fueled indirectly by a wreckless usage of fossil fuel and a lack of foresight for our energy supply, is not confined to just one region. Since these are declared Federal disaster areas, we all pay for it. We all share the cost of our short-sightedness.
I hit the literature to see what serious science had been done to investigate the link between hurricanes and global warming. I found several papers [1][2][3]. Ref. 1 (1998) concludes that “For a sea surface temperature warming of about 2.2°C, the simulations yielded hurricanes that were more intense by 3 to 7 meters per second (5 to 12 percent) for wind speed and 7 to 20 millibars for central surface pressure.” Ref. 3 studies the impact on insurance as a result of expected increases in hurricane activity. One interesting number was the cost 1992’s Hurricane Andrew, which caused an insured loss of $16.5 billion and total damages of $30 billion. Wow! hat’s a large fraction of the cost of a modern war! Ref. 2 estimates that while the 1970s-early 1980s were relatively quiet for hurricanes, activity has increased significantly since then and could continue for 10-40 years at this larger rate. Imagine 2-4 large storms like Andrew or Katrina per year for 40 years.
Work in climate modeling continues, and we should all watch with great interest the connection between large storm activity and warming. When policy decisions are made which seek to limit the rate of change in our energy economy, we would all do well to realize that the cost of inaction is subtle but large, even while the cost of action may appear to be more immediate.



.. [1] http://www.sciencemag.org/cgi/content/abstract/279/5353/1018?rbfvrToken=a3e633d93c208dd85c7c836efbe50d61cbaa9561
.. [2] http://www.sciencemag.org/cgi/content/abstract/293/5529/474?rbfvrToken=e5a26e462fe5e81bb25744ada68c7338b0633eca
.. [3] Nature (389) 225
